McKownville
Improvement Association
- The LaGrange lots adjacent to Country Club Highlands, and
their access roadway/alley




| Deed book, pages | property | Grantors | grantee | date | date recorded |
| 1048; 22-5@ |
Lot 1 Elmwood St Ext | William W Farley |
Mary Ellen Herndon | 1946-12-24 |
1946-12-30 |
| 1166; 316-8
* |
Lot 1 Elmwood St Ext |
Mary Ellen Herndon |
Abram Lee |
1949-04-12 |
1949-05-19 |
| 1195; 303-6
# |
S part Lot 1 Elmwood St Ext | Abram Lee | Katherine Riegel |
1949-12-21 |
1949-12-21 |
| Deed book, pages | property | Grantors | grantee | date | date recorded |
| R2021-32668 |
S part Lot 1 Elmwood St Ext | Eric Ma |
Stephen Cope |
2021-10-11 |
2021-10-27 |
| Deed book, pages | property | Grantors | grantee | date | date recorded |
| 917; 435-8 |
Lot 2 Elmwood St Ext@ | George H C Farley |
John F & Luciette G Firlik | 1941-02-24 |
1941-02-24 |
| 2607;
387-90 |
Lot 2 Elmwood St Ext* | Marie Coluccio (executor of Luciette G
Firlik) |
Marie Coluccio | 1998-07-01 |
1998-07-14 |
| 2623;
1136-9 |
Lot 2 Elmwood St Ext | Marie Coluccio | Samuel V Ricotta |
1999-02-18 |
1999-02-25 |
| 3048; 282-5 |
Lot 2 Elmwood St Ext | Samuel V Ricotta | Kathleen Bonneau |
2012-10-16 |
2012-10-30 |
| R2022-18882
|
Lot 2 Elmwood St Ext | Kathleen Bonneau | Antonio & Aurora Goncalves |
2022-07-26 |
2022-08-12 |
| Deed book, pages | property | Grantors | grantee | date | date recorded |
| 1427;
152-4 |
lots 30 & 31 Parkwood Homes | James J Smith |
Robert L & Helen M Hanley |
1954-11-26 |
1954-11-26 |
| 1744; 425-6 # | lot 30r Parkwood Homes | Robert L & Helen M Hanley | Jessie B Van Denbergh |
1963-01-21 | 1963-01-22 |
| 1744;
427-8 |
lot 30r Parkwood Homes | Jessie B Van Denbergh | Edith M Parsons Van Denbergh | 1963-01-21 |
1963-01-22 |
| 2087;
757-8 * |
lot 30r Parkwood Homes |
Helen M Hanley Matie |
Thomas L & Miriam C Rider |
1974-09-09 |
1974-09-13 |
| 2355;
119-20 |
lot 30r Parkwood Homes | Miriam C Rider |
Steven N Rider |
1982-11-14 |
1983-01-11 |
| R2019-24465
@ |
lot 30r Parkwood Homes | Steven N Rider | Steven N Rider (Trustee) |
2015-11-06 |
2019-11-15 |
| Deed book, pages | property | Grantors | grantee | date | date recorded |
| 1427;
137-8 |
lot 11 Parkwood Homes |
James J Smith |
Charles W & Edith M Parsons |
1954-11-26 |
1954-11-26 |
| 1492; 326-8 # | lot 11 Parkwood Homes | James J Smith | Charles W & Edith M Parsons | 1956-05-15 |
1956-05-15 |
| 1610;
171-2 |
lot 11 Parkwood Homes | Edith M Parsons Van Denbergh | Robert L Hanley | 1959-04-22 |
1959-04-23 |
| 1697;
249-50 |
lot 11 Parkwood Homes | Robert L Hanley | Merritt A & Edith C Cline |
1961-09-27 |
1961-09-27 |
| 1904;
301-2 |
lot 11 Parkwood Homes | Merritt A & Edith C Cline | Melvin L & Anita Behn |
1967-04-24 |
1967-05-12 |
| R2024-4337 |
lot 11 Parkwood Homes | Michael I Behn (executor) |
James M & Martha J Guenther |
2024-02-28 |
2024-03-18 |
| Deed book, pages | property | Grantors | grantee | date | date recorded |
| 1741;
240-4 |
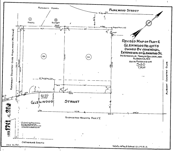
Lot 18A Glenwood Heights |
Jean Wogel |
Howard E Kohn |
1962-03-21 |
1962-12-17 |
| 1768;
135-7 |
Lot 18A Glenwood Heights | Howard E Kohn | Anthony J & Ethel De Gaetano |
1963-08-28 |
1963-08-29 |
| 1915;
135-6 |
Lot 18A Glenwood Heights | Anthony J & Ethel De Gaetano | Anthony J De Gaetano | 1967-08-17 |
1967-08-18 |
| 1928; 195-7 # | Lots 18A & S pt20 Glenwood Heights | Anthony J De Gaetano | Gonzalo & Maria F Torrente-Ballester |
1967-12-18 |
1967-12-18 |
| 2007;
199-201 |
Lots 18A & S pt20 Glenwood Heights | Gonzalo & Maria F T-Ballester | Gonzalo Torrente-Ballester | 1970-01-28 |
1970-05-01 |
| 2007;
190-2 |
Lots 18A & S pt20 Glenwood Heights | Gonzalo Torrente-Ballester | Lloyd L & Jonna A Lininger |
1970-05-01 |
1970-05-01 |
| 2687;
578-9 |
Lots 18A & S pt20 Glenwood Heights | Lloyd L & Jonna A Lininger | Gary R Gnirrep & Sandra M Clark |
2001-07-26 |
2001-08-09 |
| Deed book, pages | property | Grantors | grantee | date | date recorded |
| 1179;
179-82 # |
lot 21 Glenwood Heights Pt I | Carol M Buher |
Philip & Jean Wogel * | 1949-08-25 |
1949-08-25 |
| 1251; 73-6
|
lot 21 Glenwood Heights Pt I | Philip & Jean Wogel |
Jean Wogel | 1950-11-16 |
1951-01-17 |
| 1251;
107-10 |
lot 21 Glenwood Heights Pt I | Jean Wogel | William C & Marjorie R Lester | 1951-01-17 |
1951-01-17 |
| 1297;
467-9 |
strip along Glenwood St E side |
Philip & Jean Wogel |
William C & Marjorie R Lester | 1951-12-04 |
1952-01-16 |
| 1369;
385-8 @ |
lot 21 Glenwood Heights Pt I | William C & Marjorie R Lester |
Robert H & Eleanor L Griessel | 1953-08-17 |
1953-08-17 |
| 1568;
282-4 |
lot 21 Glenwood Heights Pt I | Robert H & Eleanor L Griessel |
Tobin Packing Co. Inc. | 1958-02-01 |
1958-02-07 |
| 1586;
247-9 |
lot 21 Glenwood Heights Pt I | Tobin Packing Co. Inc. |
John C & Marguerite M Siegrist |
1958-07-31 |
1958-08-12 |
| 2401; 75-8
|
lot 21 Glenwood Heights Pt I | Marguerite M Siegrist |
Mary A Taffe & John J Siegrist (cotrs) |
1989-09-21 |
1989-09-27 |
| 2510;
495-7 |
lot 21 Glenwood Heights Pt I | Mary Ann Taffe & John J Siegrist (cotrs) |
Mary Ann Taffe & John J Siegrist | 1994-05-31 |
1994-06-03 |
| 2534;
223-5 |
lot 21 Glenwood Heights Pt I |
Mary Ann Taffe & John J Siegrist |
Frank A Catalano |
1995-05-15 |
1995-05-22 |
| 2991;
909-11 |
lot 21 Glenwood Heights Pt I | Frank A Catalano | Anthony Catalano (trustee) |
2010-11-02 |
2010-11-09 |
| Deed book, pages | property | Grantors | grantee | date | date recorded |
| 963; 232 #
|
CP LaGrange heirs lot 5 |
James S Treanor |
Catherine M Smith |
1944-09-15 |
1944-09-18 |
| 1954; 267-8
@ |
21 Norwood St (lots 1 & 3) |
Joseph O'Brien (executor) |
Robert W & Joyce C Butler | 1968-09-26 |
1968-09-26 |
| 2414;
1159-60 |
21 Norwood St lots (lots 1 & 3) | Robert W Butler |
Robert W & Nancy P Butler | 1990-05-08 |
1990-05-11 |
| 2743;
895-98 |
21 Norwood St lots (lots 1 & 3) | Nancy P Butler | Brian Chakurmanian |
2003-07-17 |
2003-09-08 |
| Deed book, pages | property | Grantors | grantee | date | date recorded |
| 739; 53-4
# |
LaGrange lot 6 |
Benjamin F & Caroline L Witbeck |
Charles & Isabel S Tracey |
1923-12-15 |
1923-12-15 |
| will of Isabel S Tracey |
John & Susan Holt-Harris |
1966-11-07 |
| Deed book, pages | property | Grantors | grantee | date | date recorded |
| 679;
535-6 # |
LaGrange lot 7 |
Horace D & Anna L Haight |
Katherine L Perkins |
1923-10-03 |
1923-10-03 |
| Deed book, pages | property | Grantors | grantee | date | date recorded |
| 630;
227 |
LaGrange lot 8 |
Susan Barkhuff |
Thomas F Woods |
1914-11-10 |
1914-11-24 |